BAUGRUNDSTÜCK MIT VIEL POTENZIAL IN BEGEHRTER WOHNLAGE!

Grundstück

(Wohngrundstück )

41063

Mönchengladbach

498000,-

Fakten

Typ
Grundstück
(Wohngrundstück)
Baujahr
Etagen
Grundstück
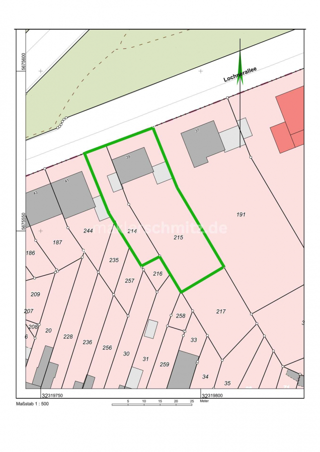
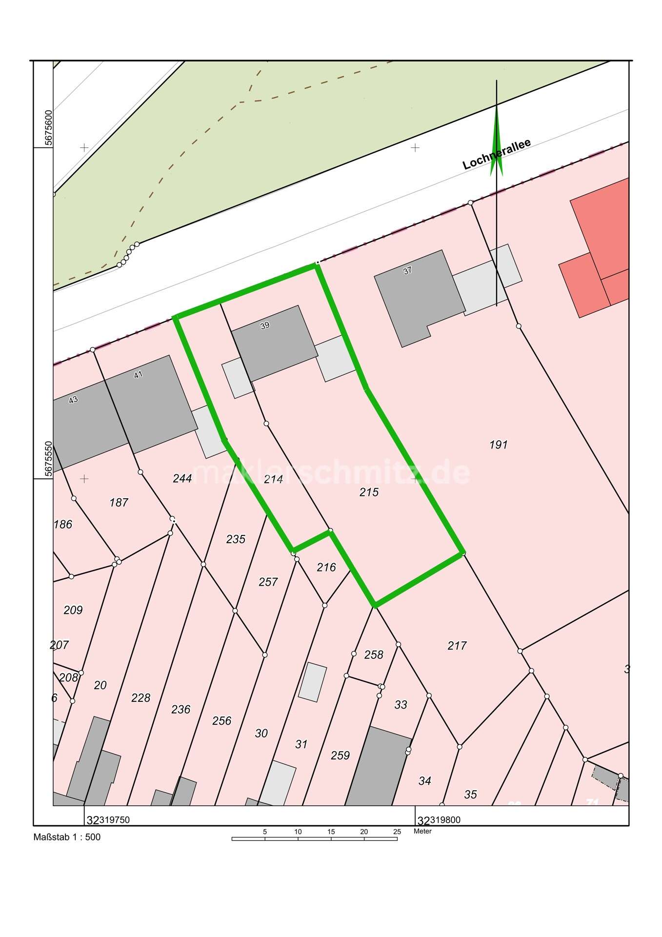
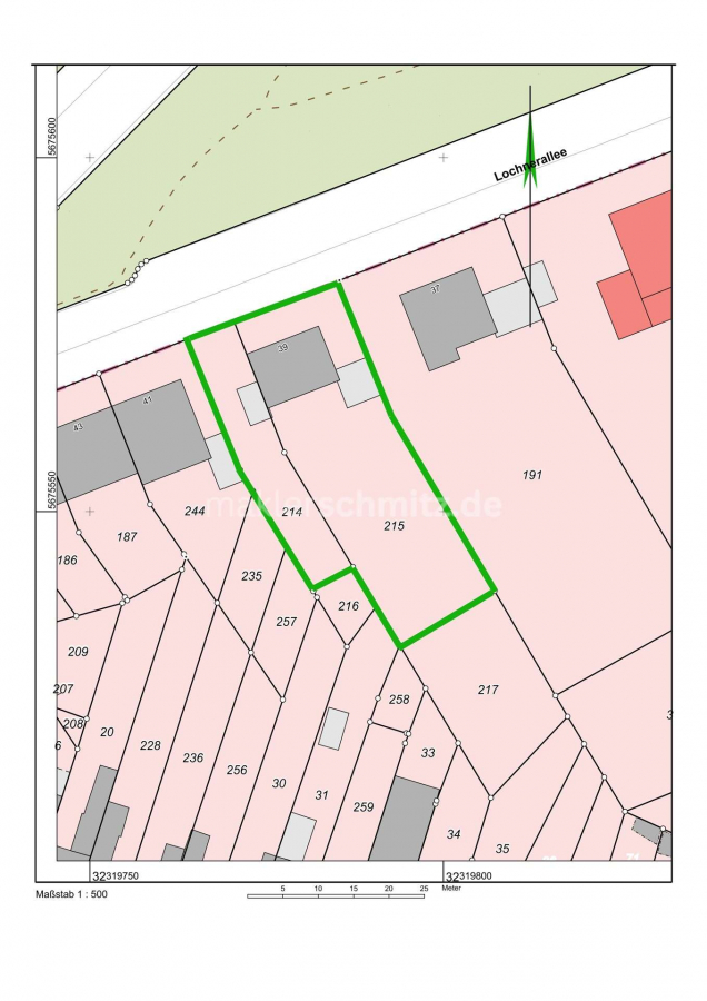
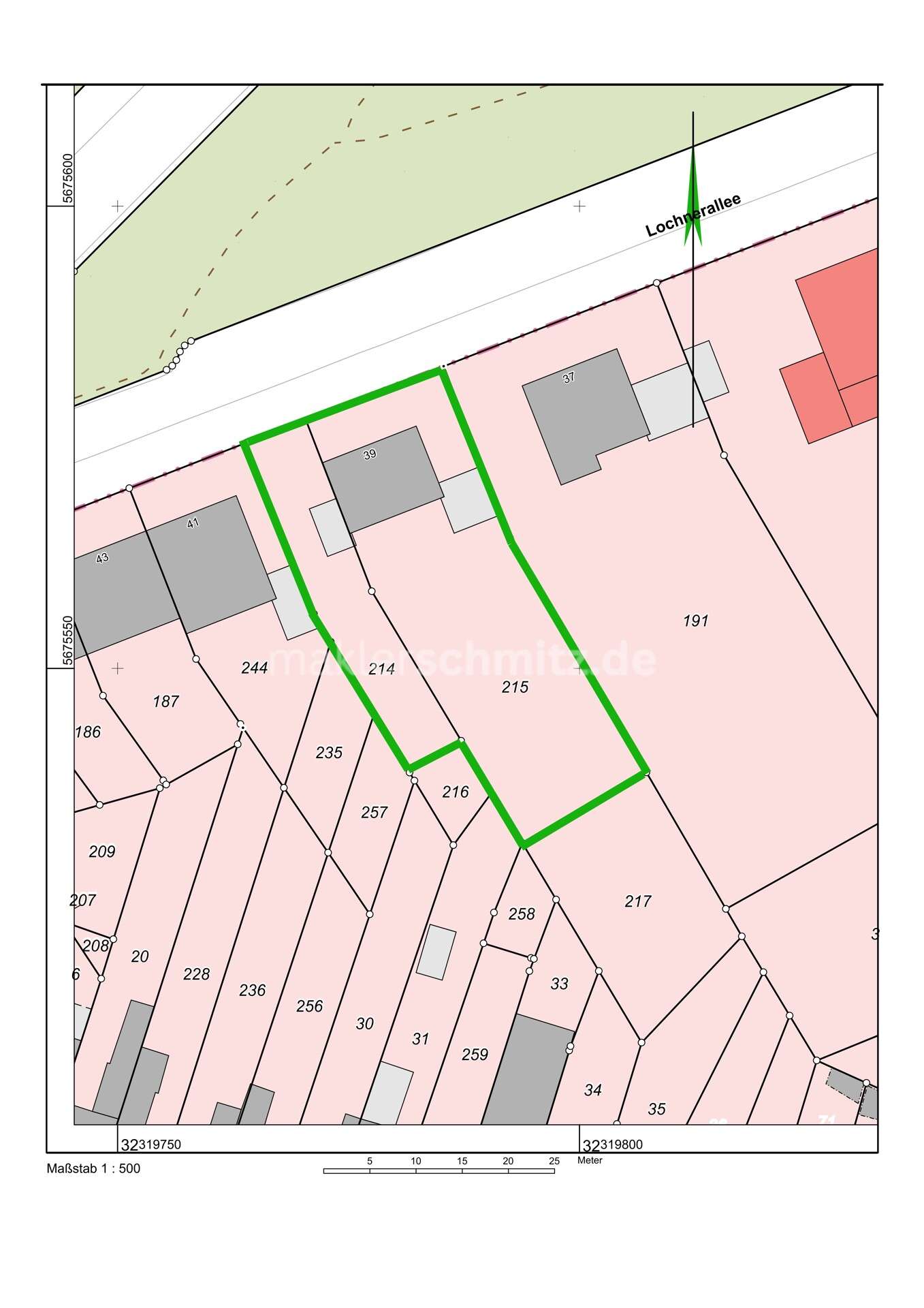
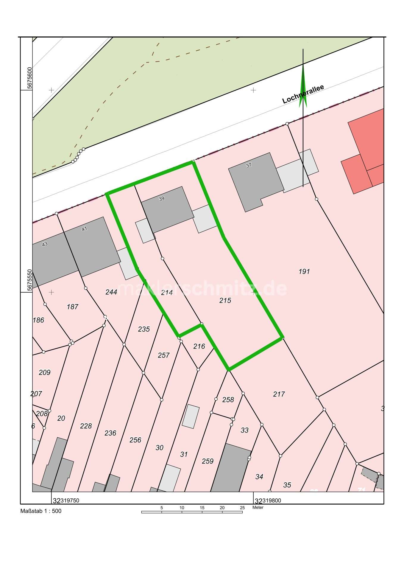
1058 m2
Wohnfläche
Nutzfläche
Zimmer
Bäder
Stellplätze
Preis

EUR 498000

Käuferprovision
3,57% Käuferprovision inkl. MwSt. verdient und fällig bei Abschluss des notariellen Kaufvertrages. Wir haben mit dem Verkäufer einen provisionspflichtigen Maklervertrag in gleicher Höhe abgeschlossen (Maklervertrag nach § 656 c BGB).

BAUGRUNDSTÜCK MIT VIEL POTENZIAL IN BEGEHRTER WOHNLAGE!

41063 Mönchengladbach, Wohngrundstück zum Kauf

Kontaktdaten

Objektdaten

  • Objekt-ID
    GRDST260920251
  • Objekttypen
    Grundstück, Wohngrundstück
  • Adresse
    41063 Mönchengladbach
  • Grund­stück ca.
    1.058 m²
  • Erschließung
    vollerschlossen
  • Käufer­provision
    3,57 % Käufercourtage inkl. 19 % Mehrwertsteuer
    3,57% Käuferprovision inkl. MwSt. verdient und fällig bei Abschluss des notariellen Kaufvertrages. Wir haben mit dem Verkäufer einen provisionspflichtigen Maklervertrag in gleicher Höhe abgeschlossen (Maklervertrag nach § 656 c BGB).
  • Kaufpreis
    498.000 EUR

Energieausweis

  • Energieausweis
    nicht vorhanden

Objekt­beschreibung

Beschreibung

“ M’GLADBACH – WINDBERG – BAUGRUNDSTÜCK MIT VIEL POTENZIAL IN BEGEHRTER WOHNLAGE! „

Dieses großzügige 1.058 m² große Grundstück in einer der begehrtesten Wohnlagen von Mönchengladbach-Windberg bietet Ihnen die ideale Grundlage, um Ihren persönlichen Wohntraum zu verwirklichen. Das weitläufige Areal überzeugt durch seine ruhige, grüne Umgebung und die hervorragende Lage in einem gepflegten Wohngebiet mit gewachsenem Charakter.

  • Vielfältige Bebauungsmöglichkeiten*

Das Grundstück ist derzeit mit einem sanierungsbedürftigen Einfamilienhaus bebaut und eröffnet zwei attraktive Optionen:
– Sanierung und Modernisierung des Bestandsgebäudes
– Neubau eines individuellen Eigenheims

Die zulässige Bebauung ermöglicht eine Baufläche mit einer Breite von fast 17 Metern und einer Tiefe von rund 12 bzw. 14 Metern nach Zustimmung der Nachbarn.
Dabei sind jeweils 3 Meter Abstand zu den seitlichen Grundstücksgrenzen einzuhalten.
Ein Bebauungsplan (B-Plan) liegt nicht vor. Die Bebauung richtet sich somit nach §34 BauGB. Insgesamt ist eine Wohnfläche von ca. 440 m² auf zwei Vollgeschossen plus Staffelgeschoss realisierbar.
Die Abrisskosten für das bestehende Gebäude wurden durch einen Architekten grob mit rund €35.000,- bis €50.000,- kalkuliert.
Entlang der südlichen Grundstücksgrenze besteht zudem ein Geh- und Fahrrecht auf dem Flurstück Nr. 214 mit einer Breite von 2,5 Metern, zu Gunsten eines Nachbarns.

  • Gefragte Wohnlage in Mönchengladbach-Windberg*

Windberg zählt zu den beliebtesten Stadtteilen Mönchengladbachs – bekannt für seine ruhige, grüne Atmosphäre und die gleichzeitig hervorragende Infrastruktur. In unmittelbarer Umgebung befinden sich:

  • Einkaufsmöglichkeiten, Restaurants und Cafés in kurzer Entfernung
  • Schulen, Kindergärten und Freizeiteinrichtungen fußläufig erreichbar
  • Gute Anbindung an den öffentlichen Nahverkehr sowie die Autobahnen A61 und A52
  • Gepflegte Wohngegend mit wenig Durchgangsverkehr

Sonstiges

HINWEIS:
Dieses Exposé ist eine Vorabinformation zu unserem Angebot. Alle Abmessungen, Ausstattungsmerkmale und Detailangaben sind nach Auskünften des Eigentümers wiedergegeben worden. Wir ermöglichen eine jederzeitige Nachprüfung durch den / die Käufer/ Interessenten, da wir hierfür keine Haftung übernehmen können.

PROVISIONSHINWEIS:
3,57 % Käuferprovision inkl. MwSt. verdient und fällig bei Abschluss des notariellen Kaufvertrages. Wir haben mit dem Verkäufer einen provisionspflichtigen Maklervertrag in gleicher Höhe abgeschlossen (Maklervertrag nach § 656 c BGB).

FINANZIERUNG:
Sie haben noch keine Finanzierung oder wünschen ein konkretes Angebot? Gerne unterbreiten wir Ihnen in Kooperation mit unseren qualifizierten Partnern ein speziell auf Ihre Bedürfnisse zugeschnittenes Finanzierungsangebot. Es besteht durchaus die Möglichkeit auch ohne Eigenkapitaleinsatz Ihren Traum von den eigenen vier Wänden zu verwirklichen.

Lage

Das hier angebotene Baugrundstück befindet sich in Mönchengladbach-Windberg, einem der begehrtesten und charmantesten Ortsteile der Stadt. Hier genießen Sie die perfekte Kombination aus urbanem Leben und ruhiger Wohnatmosphäre. Nur wenige Minuten vom Stadtzentrum entfernt, wohnen Sie in einer grünen, gewachsenen Umgebung, die ein Gefühl von Heimat und Lebensqualität vermittelt.

Besonders hervorzuheben ist die Nähe zum Bunten Garten, dem grünen Herzen Mönchengladbachs. Die Ausläufer des Bunten Gartens beginnen direkt vor der Haustüre. Diese weitläufige Parkanlage lädt das ganze Jahr über zu entspannten Spaziergängen, Joggingrunden oder gemütlichen Nachmittagen im Grünen ein. Familien schätzen hier die gepflegten Wege, die Vogelvoliere mit über 200 Tieren sowie vielfältige Freizeitangebote wie Tennis- und Minigolfanlagen.

Das Wohnumfeld bietet eine hervorragende Infrastruktur und lässt keine Wünsche offen. Supermärkte, Bäckereien, Restaurants, Cafés und zahlreiche Geschäfte des täglichen Bedarfs befinden sich in unmittelbarer Nähe – alles ist bequem zu Fuß oder mit dem Fahrrad erreichbar. Auch das medizinische Angebot ist hervorragend: Fachärzte, Apotheken sowie das Bethesda Krankenhaus (ca. 1,1 km entfernt) sorgen für eine optimale Versorgung.

Für Familien ist Windberg besonders attraktiv. Das schulische Angebot ist vielfältig – von Grundschulen über Gymnasien bis hin zu Real- und Hauptschulen – und mehrere Kindergärten und Kitas sind ebenfalls nur wenige Minuten entfernt. Das renommierte bischöfliche Gymnasium ist fußläufig in wenigen Minuten zu erreichen.

Dank der zentralen Lage und der hervorragenden Verkehrsanbindung sind Sie optimal vernetzt. Die Autobahnen A46, A44, A61 und A52 sind in kurzer Zeit erreichbar und bieten beste Verbindungen zu den umliegenden Städten Düsseldorf, Köln und Aachen. Auch mit öffentlichen Verkehrsmitteln gelangen Sie schnell und bequem in die Mönchengladbacher Innenstadt oder zum Hauptbahnhof.

Sie sehen gerade einen Platzhalterinhalt von Google Maps – WP-ImmoMakler. Um auf den eigentlichen Inhalt zuzugreifen, klicken Sie auf die Schaltfläche unten. Bitte beachten Sie, dass dabei Daten an Drittanbieter weitergegeben werden.

Mehr Informationen

Die dargestellte Position der Immobilie ist nur eine ungefähre Angabe.

Direktanfrage

* Pflichtangaben
 SSL-verschlüsselt
Darstellung der Immobilien mit WP-ImmoMakler und Daten aus

Weitere Bilder